项目名称:查姆福苑建设项目三期工程
项目地点:双柏县城西北片区元双路与文康路交叉处
申报类别:建设工程竣工规划核实验收
建设单位:双柏凯骏置业有限公司
核实单位:双柏县自然资源局
公示时间:2024年7月24日至2024年7月30日
公示地点:项目所在地、县城主要街道
公示网址:双柏县人民政府门户网站
组织公示单位:双柏县自然资源局
意见反馈联系电话:0878-7721516
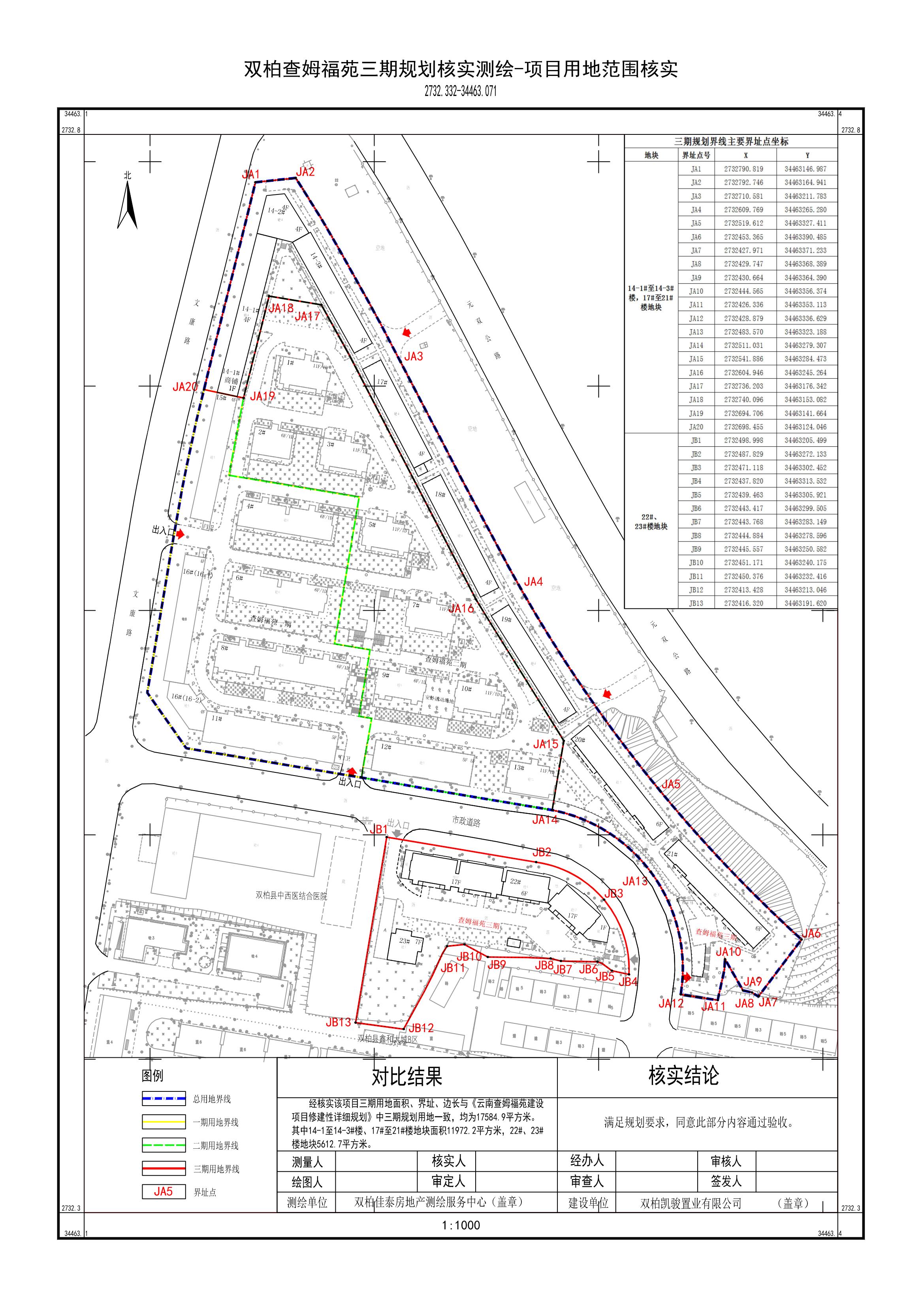
项目简介:双柏凯骏置业有限公司开发建设的查姆福苑建设项目位于双柏县城西北片区,规划总用地面积42095㎡,其修建性详细规划(修改)于2021年9月审定,分三期实施建设,审批指标(其中查姆福苑建设项目一期工程于2021年12月9日通过规划核实验收。项目总建筑面积为23430.15㎡,其中地上建筑面积20029.72㎡(为计容建筑面积),地下建筑面积3400.43㎡,容积率1.98,建筑密度34.81%,绿地率24.94%,机动车停车位151个(地上停车位31个,地下停车位120个);查姆福苑建设项目二期工程于2023年1月29日通过规划核实验收。项目总建筑面积28274.15㎡,其中地上建筑面积23804.99㎡(为计容建筑面积),地下建筑面积4469.16㎡,容积率1.85,建筑密度20.68%,绿地率40.53%,机动车停车位182个(地上停车位58个,地下停车位124个);查姆福苑建设项目三期工程规划用地面积17586㎡,总建筑面积52830.75㎡,其中地上建筑面积40210.35㎡(为计容建筑面积),地下建筑面积12620.4㎡,容积率2.21,建筑密度29.93%,绿地率34.29%,机动车停车位349个(地上停车位32个,室内停车楼221个,地下人防停车位96个)。2019年10月9日项目建设单位根据审定的项目修建性详细规划,办理了查姆福苑建设项目三期工程(14,17,18,19,20,21,22,23,地下室栋)《建设工程规划许可证》(编号为建字第双柏县202000011号、建字第双柏县202000012号、建字第双柏县201900016号),规划许可总建筑面积52531.3㎡。2024年7月23日双柏凯骏置业有限公司向我局申请对已竣工的查姆福苑建设项目三期工程(14,17,18,19,20,21,22,23,地下室栋)建设内容进行规划核实验收,经测绘单位实测和现场比对审核,实测指标(查姆福苑建设项目三期工程(14,17,18,19,20,21,22,23,地下室栋)实测用地面积17586㎡,总建筑面积52531.3㎡,其中地上建筑面积38659.82㎡(为计容建筑面积),地下建筑面积13871.48㎡,建筑密度32.42%,容积率2.46,绿地率36.17%,此外实测机动车停车位共349个(地上停车位33个,地下停车位316个)。现该项目一期、二期及三期均已实施完毕,经审核整体经济技术指标及公建配套、工程管线等符合该项目规划,根据《楚雄彝族自治州建设工程竣工规划验收管理办法》的规定特进行公示,如对查姆福苑三期建设项目规划核实验收有异议的请在公示期限内与我局联系。
附件内容:1.查姆福苑建设项目用地范围核实图;
2.查姆福苑建设项目建筑物平面位置核实图;
双柏县自然资源局
2024年7月24日
1.查姆福苑建设项目用地范围核实图

2.查姆福苑建设项目建筑物平面位置核实图
