项目名称:双柏县气象局新址业务技术用房建设项目
项目地点:楚雄彝族自治州双柏县县城西北片区
申报类别:建设工程竣工规划核实验收
建设单位:云南省双柏县气象局
核实单位:双柏县自然资源局
公示时间:2025年10月22日至2025年10月28日
公示地点:项目所在地、县城主要街道
公示网址:双柏县人民政府门户网站
组织公示单位:双柏县自然资源局
意见反馈联系电话:0878-7721516
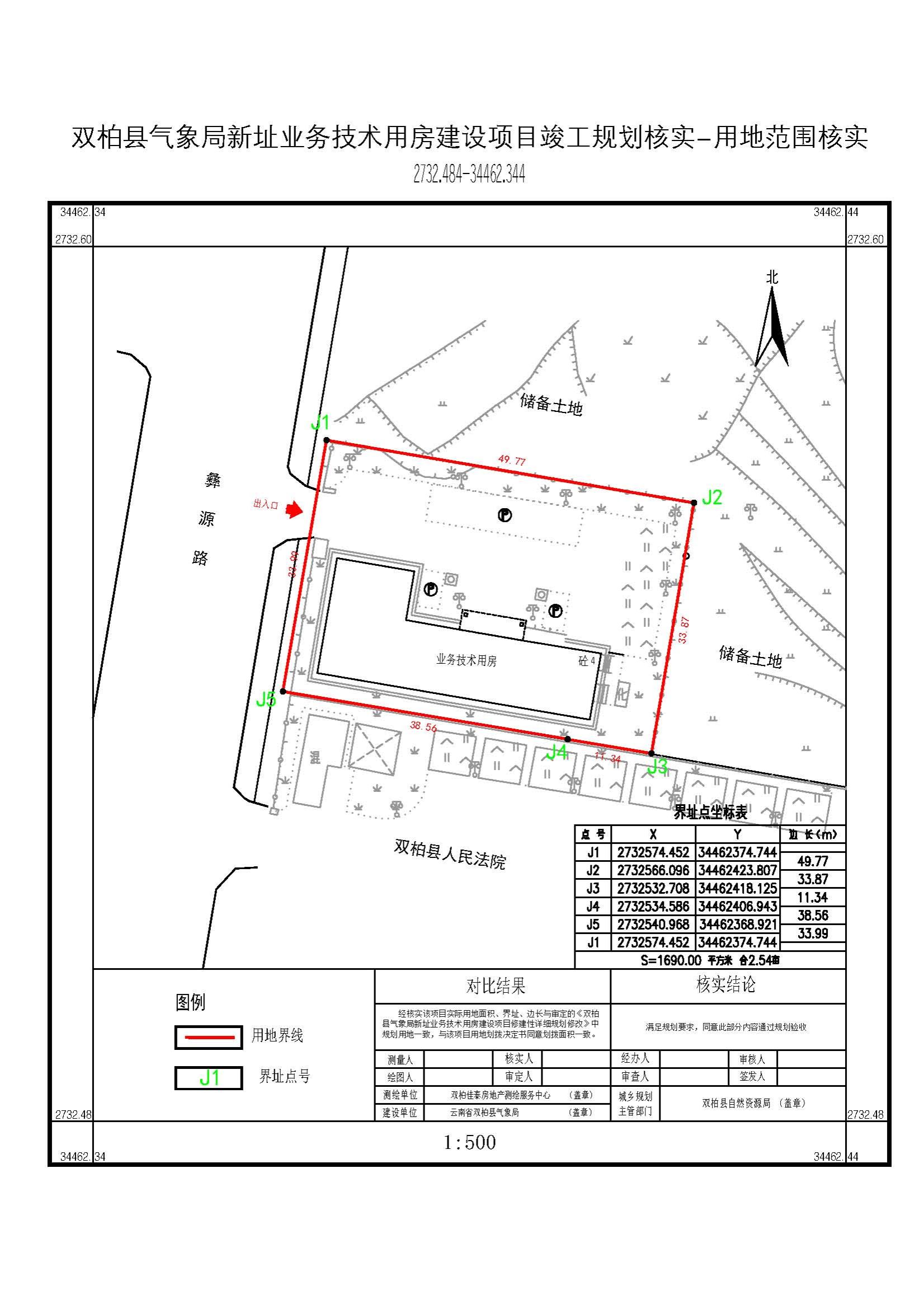
项目简介:双柏县气象局新址业务技术用房建设项目位于楚雄彝族自治州双柏县县城西北片区,规划审批指标:双柏县气象局新址业务技术用房建设项目规划总用地面积1690.23㎡,总建筑面积1458.60㎡,容积率1.33,建筑密度24.94,机动车停车位9个。2015年8月6日项目建设单位根据审定的项目修建性详细规划,办理了双柏县气象局新址业务技术用房建设项目《建设工程规划许可证》(建字第53232220150032号),规划许可总建筑面积1458.60㎡。2025年10月22日该项目建设单位向我局申请对已竣工的双柏县气象局新址业务技术用房建设项目建设内容进行规划核实验收,经测绘单位实测和现场比对审核,实测指标(双柏县气象局新址业务技术用房建设项目实测用地面积1690.23㎡,总建筑面积1463.70㎡,建筑密度24.96,容积率1.33,此外实测机动车停车位共11个。现该项目已实施完毕,经审核整体经济技术指标及配套、工程管线等满足该项目审定规划,根据《楚雄彝族自治州建设工程竣工规划验收管理办法》的规定特进行公示,如对双柏县气象局新址业务技术用房建设项目规划核实验收有异议的请在公示期限内与我局联系。
附件内容:1.双柏县气象局新址业务技术用房建设项目用地范围核实图;
2.双柏县气象局新址业务技术用房建设项目规划验收平面位置核实图;
双柏县自然资源局
2025年10月22日

