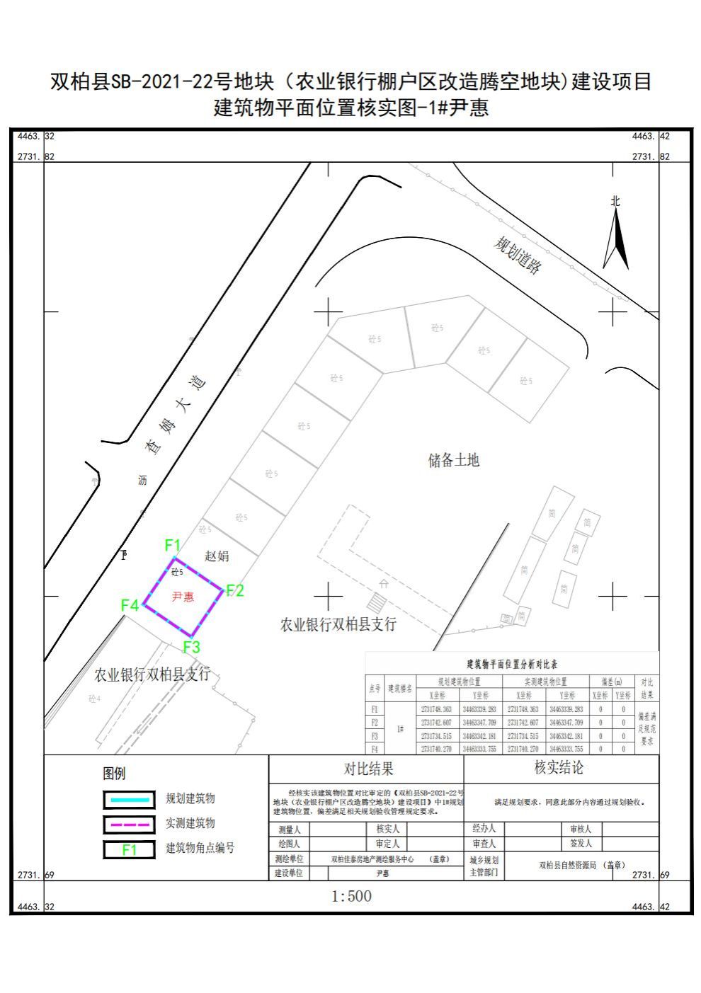
项目名称:双柏县SB-2021-22地块(农业银行棚户区改造腾空地块)建设项目
项目地点:楚雄彝族自治州双柏县县城查姆大道农行旁
申报类别:建设工程竣工规划核实验收
建设单位:尹惠
核实单位:双柏县自然资源局
公示时间:2025年12月31日至2026年1月6日
公示地点:项目所在地、县城主要街道
公示网址:双柏县人民政府门户网站
组织公示单位:双柏县自然资源局
意见反馈联系电话:0878-7721516
项目简介:双柏县SB-2021-22地块(农业银行棚户区改造腾空地块)建设项目位于楚雄彝族自治州双柏县县城查姆大道农行旁,规划审批指标:双柏县SB-2021-22地块(农业银行棚户区改造腾空地块)建设项目规划总用地面积100㎡,总建筑面积617.17㎡,容积率6.17,建筑密度100%。2021年11月18日项目建设单位根据审定的项目修建性详细规划,办理了双柏县SB-2021-22地块(农业银行棚户区改造腾空地块)建设项目《建设工程规划许可证》(建字第双柏县202500016号),规划许可总建筑面积617.17㎡。2025年12月31日该项目建设单位向我局申请对已竣工的双柏县SB-2021-22地块(农业银行棚户区改造腾空地块)建设项目建设内容进行规划核实验收,经测绘单位实测和现场比对审核,实测指标(双柏县SB-2021-22地块(农业银行棚户区改造腾空地块)建设项目实测用地面积100㎡,总建筑面积617.17㎡,建筑密度100,容积率6.17。现该项目已实施完毕,根据《楚雄彝族自治州建设工程竣工规划验收管理办法》的规定特进行公示,如对双柏县SB-2021-22地块(农业银行棚户区改造腾空地块)建设项目规划核实验收有异议的请在公示期限内与我局联系。
附件内容:1.双柏县SB-2021-22地块(农业银行棚户区改造腾空地块)建设项目用地范围核实图;
2.双柏县SB-2021-22地块(农业银行棚户区改造腾空地块)建设项目规划验收平面位置核实图;
双柏县自然资源局
2025年12月31日

